Skip to main content
Edition:
8world
vibes
SO YOUNG
Edition:
8world
8world
vibes
SO YOUNG
简体
繁体
My Feed
Bookmarks
Search
24-33ºC
PSI
32-61
PM2.5
7-26 Thundery Showers
总览
Just In
Young视角
Y-News
Young创作
Y-Creation
Young专题
Y-Features
乐学课堂
News in Class
乐学新闻
Fun Learning
我来报新闻
YRNC
Young音频
Y-Play
Advertisement
UH-OH! 难免有故障。请稍后再试。
建屋发展局
关注
 
关注
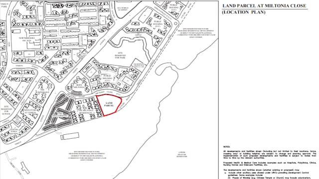
美通弄地段三强竞标 海峡实业出价最高
新加坡
14/04/2026 18:09
美通弄地段三强竞标 海峡实业出价最高
建屋局今年将推出2万5000个新组屋单位
新加坡
16/01/2025 17:00
02:13
建屋局今年将推出2万5000个新组屋单位
逾150万户家庭在组屋区提升或翻新计划中受惠
新加坡
12/02/2024 13:00
逾150万户家庭在组屋区提升或翻新计划中受惠
约8300户租赁家庭过去十年 在建屋局计划下顺利拥屋
新加坡
08/02/2024 15:22
约8300户租赁家庭过去十年 在建屋局计划下顺利拥屋
过去五年 建屋局平均每年取缔115起违法出租组屋单位案例
新加坡
新加坡国会
09/01/2024 17:01
01:20
过去五年 建屋局平均每年取缔115起违法出租组屋单位案例
建屋局未来几周公布四个地点 “再创我们的家园计划”翻新详情
新加坡
11/09/2023 12:53
02:12
建屋局未来几周公布四个地点 “再创我们的家园计划”翻新详情
更多转售组屋买家向建屋局贷款 占比上半年猛增到65%
新加坡
05/08/2023 18:07
02:15
更多转售组屋买家向建屋局贷款 占比上半年猛增到65%
Advertisement
Advertisement